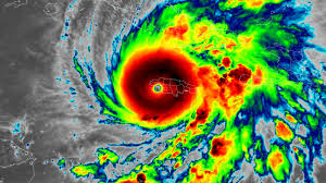
O furacão Melissa, após atingir a Jamaica como um furacão de Categoria 5, enfraqueceu para Categoria 4, mas continua a representar uma ameaça significativa enquanto se dirige para Cuba. Com ventos sustentados de 240 km/h, Melissa já causou danos extensivos na Jamaica e há relatos de várias mortes. Cuba está em alerta máximo, preparando-se para a chegada do furacão ainda nesta noite. A tempestade também afetou as rotas de cruzeiros no Caribe e equipes de voluntários de Michigan estão se preparando para enviar ajuda humanitária.

Fonte: CNN
Impacto na Jamaica
Melissa atingiu a Jamaica perto de New Hope, causando destruição generalizada. O Ministro do Governo Local, Desmond McKenzie, descreveu a situação como uma das piores experiências da Jamaica, com infraestrutura severamente comprometida. Mais de 530.000 pessoas estão sem eletricidade, representando mais de 77% dos clientes da Jamaica Public Service. A área de St. Elizabeth, crucial para a produção de alimentos, foi particularmente afetada, ficando submersa pelas águas.
"Jamaica’s gone through what I can call one of its worst period. Our infrastructure has been severely compromised," disse Desmond McKenzie.
Equipes de resgate enfrentam dificuldades para alcançar áreas isoladas, com relatos de famílias ilhadas. Hospitais foram danificados, forçando a evacuação de pacientes. Apesar dos desafios, o governo jamaicano está coordenando esforços de resposta e recuperação, com mais de 15.000 pessoas em abrigos de emergência.
Preparativos em Cuba
À medida que Melissa se aproxima de Cuba, as autoridades estão evacuando centenas de milhares de pessoas, especialmente na província de Holguín. O presidente cubano, Miguel Díaz-Canel, apelou à unidade e resiliência do povo cubano, alertando para uma noite difícil. A previsão é de que Melissa atinja Cuba com ventos de cerca de 225 km/h, trazendo chuvas torrenciais e inundações.
Previsões para Cuba
- Chuvas de 250 a 500 mm, com picos de até 635 mm em áreas montanhosas.
- Risco de inundações repentinas e deslizamentos de terra.
- Ondas de tempestade de até 3,6 metros acima dos níveis normais da maré.
O governo cubano suspendeu o transporte aéreo e terrestre nas áreas orientais da ilha, e a Embaixada dos EUA em Havana alertou os cidadãos americanos a tomarem precauções e, se possível, deixarem o país.
Ajuda Humanitária e Impacto no Turismo
Voluntários de Michigan, através da organização Disaster Relief at Work (DRAW), estão preparando suprimentos para enviar à Jamaica, visando auxiliar nas operações de limpeza e reconstrução. A Carnival Cruise Line está redirecionando seus navios para evitar a rota do furacão, alterando itinerários e portos de escala.
Estratégias de Resposta
- Mobilização de equipes de resgate e ajuda humanitária.
- Restauração de serviços essenciais, como eletricidade e telecomunicações.
- Avaliação dos danos e planejamento da reconstrução.
Com cerca de 25.000 turistas presentes na Jamaica, o Ministro do Turismo, Edmund Bartlett, assegurou que a segurança dos visitantes e moradores locais é a prioridade máxima.
O Que Esperar a Seguir?
Após a passagem por Cuba, espera-se que Melissa siga para as Bahamas, ainda como um furacão forte. As autoridades continuam monitorando a tempestade e emitindo alertas para as áreas em risco. Qual será o impacto total de Melissa sobre Cuba e as Bahamas? A resposta a essa pergunta depende da intensidade com que Melissa mantiver sua força nos próximos dias. A reconstrução nas áreas afetadas exigirá um esforço conjunto de governos, organizações humanitárias e comunidades locais.
O site supportjamaica.gov.jm foi criado para coordenar os esforços de ajuda e doações para as vítimas do furacão.